「梅雨」のニュース (1,683件)
-
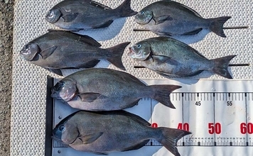
大原沖のイサキ釣りで最大41cmを筆頭に良型が多点掛け!【千葉】浅場&コマセワークで連発
イサキの本格シーズンに突入した外房・大原。浅場に乗っ込んでくる「梅雨イサキ」は釣りの世界では初夏の風物詩。水深が浅く初心者でも楽しめ、脂が乗って食味も抜群な時期です。大原では連日、一人50尾の好釣果が...
-
新システムの導入でどうなる? ゲリラ豪雨でのウーバーイーツ配達【チャリンコ爆走配達日誌】
連載【ギグワーカーライター兼ウーバーイーツ組合委員長のチャリンコ爆走配達日誌】第110回ウーバーイーツの日本上陸直後から配達員としても活動するライター・渡辺雅史が、チャリンコを漕ぎまくって足で稼い.....
-
猫とは接触させないで!梅雨時に多い『ナメクジ・カタツムリ』を避けるべき理由
梅雨の季節になると、ナメクジやカタツムリをよく見かけるようになります。湿気の多い庭やベランダ、植木鉢のまわりなどにひっそりと現れ、猫が興味を示して近づくことは珍しくありません。しかし、ナメクジやカタツ...
-
超酷暑警報! 「トリプル高気圧」で殺人級"42℃の夏"がやって来る!?
まだ6月なのに梅雨前線が「消滅」!気温は急上昇!!今年は6月から各地で35℃以上の猛暑日を観測するなど、地獄のような暑さが続いている。その理由はなんなのか?そして、夏本番には40℃以上続出の"超酷暑"...
-
猫の『足の裏の毛がボーボー』を放置しないほうがいい理由 お手入れのコツも解説
ふとしたときに、愛猫の肉球まわりの毛を見たら、「ボーボー状態」になっていた―みなさんにもそんな経験があるかもしれません。今回は、伸び放題の足の裏毛を放置していると、どんな困ったことが起こるのか、解説し...
-
大山沖イサキ釣りで良型イサキ8匹をキャッチ【愛知・おざき丸】美味な白子に舌鼓
梅雨イサキや麦わらイサキなんて言われるイサキはこの時期に旬を迎えるとされる。そんな食味バッチリなイサキを目指して6月9日に片名港のおざき丸さんに乗り込んだ。「なんとかなるだろう」という性格から下調べを...
-
『雨の日の猫はよく寝る』は本当?そう言われる3つの理由 迷信じゃないかも?
1.野生本能が作動するから猫は1日平均で12~16時間ほど眠ります。ほとんど寝て過ごしていると言っていいわけですが、雨の日になると、いつにも増して睡眠時間が長くなりがちです。もともと猫は狩りによって命...
-
釣り人視点で見る【タコとイカの違い】 狙うレンジ(層)が最大の違いか
ご存じタコとイカといえば、海の面妖な軟体生物である。タコが足8本、イカが10本。なぜ足の数が違うかなんか知らないが、もっと基本的なことについて知っておきたい。釣り人的な視点では、どのような違いがあるの...
-
「梅雨のだるさ」を悪化させる体質チェックリスト《記者が試した!たった数日で1kg以上むくみを改善した対策も》
14日、気象庁が東北地方の梅雨入りを発表した。これで、梅雨のない北海道を除き、すべての地方で梅雨入りが確認されたこととなる。この時季特有の“梅雨ダル”症状に既に悩まされている人も多いはずだ。 ...
-
大山沖のイサキ釣りで最大34cm含む8匹を手中【愛知】船中21匹で全員安打を達成
曇り空の日が多くなり間もなく梅雨に入りそうな季節。この時期に旬を迎えるのがイサキだ。今年は早くも好釣果が出ているので、天気予報とにらめっこし、6月6日はベテラン釣り師の重野さんをお誘いして愛知県・南知...
-
元CAが厳選、6月のお気に入りコスメ5選! 1000円以下の“優秀プチプラ下地”に感動〈実物レポ〉
こんにちは!元CAの美容ライターRilaです。ジメジメと蒸し暑い梅雨ですが、そんな季節もキレイをキープしたいですよね。そこで今回は、筆者が6月にヘビロテしたお気に入りコスメを5つ紹介します。(文・写真...
-
「大阪湾の青物回遊は一休み?」泉佐野一文字でのサビキ釣りで中型含みアジが連発
青物の回遊が一休みとなり、酷暑も相まって訪れる釣り人の数が少なくガラ空きとなっていた盛夏の泉佐野一文字は、私(筆者)にとっては狙い目(?)だった。普段はなかなか入れない人気の赤灯台周りで竿下サビキ釣り...
-
『平谷湖フィッシングスポット』のエリアトラウト釣行で3桁釣果&大物連発【長野】
大型トラウトの放流情報を受けて、長野県の平谷湖フィッシングスポットへ出かけた。エキスパートエリアを中心に粘り強く攻め、さかさニョロやセニョールトルネードが威力を発揮。ラインブレイクなどのトラブルもあり...
-
「初夏のシーバスは小規模河川で釣るべし!」ハクパターンのリバーシーバス攻略法
6月の梅雨時期頃から本格シーズンインとなるリバーシーバスであるが、私の住む東北地方の代表的なベイトにハク(ボラの幼魚)や稚鮎があげられる。今回はハクパターンについて特徴や使用するルアーをご紹介する。(...
-
『猫砂の正しい保存方法』ってあるの?気をつけたい3つのこと 失敗すると、機能が落ちる場合も…
1.湿気や直射日光を避けて保存すること猫砂は、システムトイレ用のタイプを除き、排泄物をしっかり固める機能があります。しかし、裏を返せば、それだけ水分を吸収しやすく、湿気に弱いということなんです。湿気を...
-
雨の日こそ品格が試される──梅雨の出勤に備えるビジネスマンの装い5選
「傘を忘れた」「靴が濡れて気分が下がる」「レインコートがダサい」。梅雨の朝は、それだけで足取りが重くなります。しかし、そんな不快な中でこそ、装いには“人格の設計力”が問われるのではないでしょうか。ビジ...
-
「梅雨時期に釣り人がなりがち」大の釣り好きなのに釣りが億劫になる【釣り鬱】とは?
なんとなく釣りに行く気になれない日がある。天気や予定のせいではなく、ただ面倒くさい。そんな「釣り鬱」とも言える状態が、数週間続くこともある。この抑うつ的な気分、どう向き合えばいいのだろうか。雨の季節、...
-
落とし込み釣りシーズン到来!【和歌山・MCL】良型マダイにシロアマダイをキャッチ!
落とし込み釣りが本格シーズンを迎えた和歌山・紀北エリア。人気の遊漁船MCLに乗り込み、落とし込みとシロアマダイ狙いのリレー便に挑戦してきた。何が飛び出すかわからない、スリル満点の釣行を満喫してきた。(...
-
『霞釣り公園』での紀州(ダンゴ)釣りで45cm頭に良型クロダイを連打【三重】
昨年より始めた紀州釣り。釣行の度に気付き、学びがいっぱい、奥の深さを感じています。それでも毎回独特のダンゴワークやウキでアタリを見るのが面白く、今回もより磨きをかけるべく伊勢湾奥にて竿を出しました。梅...
-
『葛西用水路』でのルアー釣りで本命ナマズ不発もブルーギルが連発【埼玉】
梅雨の時期へと近づいてきたこの季節。じめじめとしていて過ごしにくい日々を送る季節ですが、ナマズ釣りにとっては最高のコンディションを作り出す季節でもあります。今回は新規開拓を兼ねて、葛西用水路付近で釣行...
-
水軒一文字・新波止での落とし込み釣りで43cmチヌ【和歌山】平鯵狙い遠投カゴ釣りは不発
2025年6月28日、和歌山県の水軒一文字新波止は嵩上げ工事中で様相が変わっていたが、釣り座は選び放題で釣果も全体的に好況。岩カニのエサの落とし込み釣りでチヌ43cmを手中にした釣行をお届け。(アイキ...
-
消波ブロック帯の穴釣りでカサゴ40匹&キジハタ32cm手中【三重・箕田沖】濁り潮で活性上昇
梅雨のはしりにぬれた緑も鮮やかな5月中旬。根魚を求めて三重県鈴鹿市の箕田消波ブロック帯に釣行した。こちらは県内屈指の穴釣りポイント。メインターゲットはカサゴで、サイズ、魚影ともにトップクラスだ。また、...
-
【フランスのパンダ ガドゥ】Épisode 40『梅雨』
■こわさないと使えないもの■今週のフランス語【oeuf(ウフ)】=たまごフランスには「たまごを割らずにオムレツは作れない」という有名なことわざがあり、これは「成功には多少の犠牲が必要」という意味で使わ...
-
梅雨や雨の日でも快適に過ごせる!「Cotopaxi(コトパクシ)」の機能的なレインアイテム
アメリカ発のサステナブルアウトドアブランド「Cotopaxi(コトパクシ)」から、憂鬱になりがちな梅雨を明るく彩る新商品が登場。ウエストバッグやジャケットなど機能性や快適性を追求した商品が、雨の日でも...
-
「シーズンはまだ先か?」淡水小物釣りでモロコにモツゴ【埼玉・岩槻】小型サイズばかり
そろそろ小物が爆釣する時期。新たに製作した竹竿の試しも兼ねて、埼玉県の岩槻エリアへ。6月半ばの小物釣りをレポートしたいと思います。(アイキャッチ画像提供:TSURINEWSライター・泉陽登)暑さ対策を...
-
メバリングタックルでのライトルアー釣行でメバル・シーバス・キビレを手中【大阪・泉大津】
大阪湾沿岸でシーバスの調子が例年になくいいらしい。筆者はもともとシーバスは本格的に追わないのだが、LTで食ってくる限りは嬉しいゲストとして歓迎している。そこで今回はもう少し積極的にLTでシーバスを狙い...
-
「夏ハゼが好スタート!」ミャク釣りで18cm級マハゼと対面成功【紀ノ川河口】
紀ノ川河口へ夏ハゼ調査釣行に出かけた筆者。ミャク釣りで18cm級のマハゼと対面成功。今後の見通しと併せてレポートしよう。(アイキャッチ画像提供:TSURINEWSライター・牧野博)マハゼは周年釣れる魚...
-
鼓ケ浦海岸の投げ釣りでコッパガレイの猛攻を交わし14cm級シロギスをキャッチ【三重】
小型ながら伊勢湾奥でキスの釣果が出始めたとの情報を受け、梅雨入り前の6月上旬に三重県鈴鹿市の鼓ケ浦海岸へ投げ釣り調査に出かけた。遠投でアタリを探ると、タイワンガザミやコッパガレイが多く苦戦したが、本命...
-
東伊豆ライトロックゲームでムラソイ5匹手中【静岡】ジグヘッド&ワームでゴロタ場を狙う
水温が20度を超え安定してきた伊豆半島の東海岸ゴロタ場で、ムラソイのライトロックゲームを楽しみました。ジグヘッド+ワームで岩陰を狙うと、高反応の個体が次々とヒット。足元の穴釣りでも十分に楽しめる、初夏...
-
「梅雨メバルシーズン到来か?」夜の電気ウキ釣りで29cm頭にメバルが連発【熊本・宇城】
大田尾漁港(熊本県宇城市)のナイターで、「梅雨メバル」の釣果が上向き。数は少ないが、当たれば型がいい。5月18日に釣行した際は満足いく釣果に恵まれた。(アイキャッチ画像提供:TSURINEWSライター...